Продам дом
6 300 000
Обзор№ - 6462
| Стоимость | 6 300 000 |
|---|---|
| Комнат в доме | 4 |
| Категория земли | ИЖС |
| Тип комнат | Изолированные |
| Кадастровый номер участка | 30:12:020206:33 |
| Право собственности | Посредник |
| Тип парковки | На улице |
| Ремонт | Требует ремонта |
| Категория земли Avito | Индивидуальное жилищное строительство (ИЖС) |
| Способ связи avito | По телефону и в сообщениях |
| Материал стен (Авито дома) | Кирпич |
| Тип отопления cian | центральное газовое |
| Тип дома cian | Кирпичный |
| Водоснабжение avito | Центральное |
| Канализация avito | Септик |
| Газ avito | В доме |
| Водоснабжение (cian) | Центральное |
| Электричество | Есть |
| Канализация (cian) | Септик |
| Газоснабжение (cian) | Магистральный в доме, |
| Тип строения | Дом |
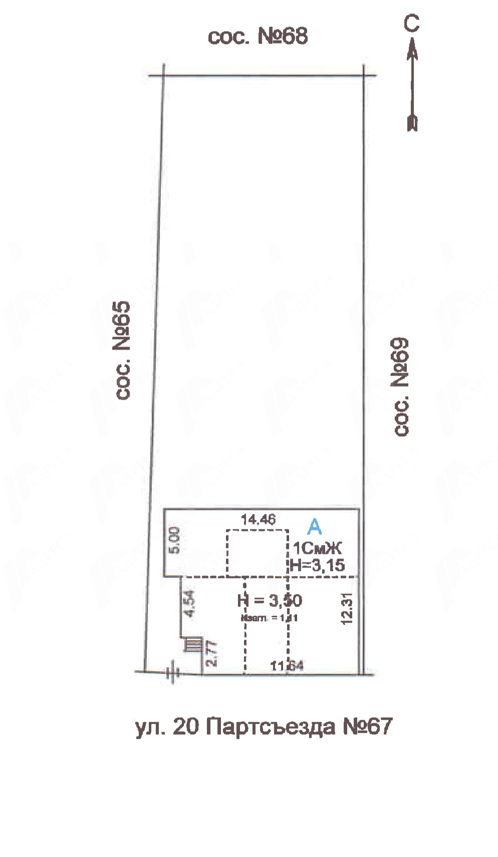
| Площадь, кв.м. | 151.2 |
| Площадь участка, сот | 7.25 |
| Этажность | 1 |
| Материал стен | Кирпич |
| Отопление | Котел |
Адрес
| Населенный пункт | Астрахань |
|---|---|
| Улица | улица 20-го Партсъезда |
В избранное Продам дом
Продаётся дом на участке правильной формы 7,25 соток. Дом для большой семьи 151,2 кв.м. с незавершённым внутреннем ремонтом. Инженерные системы все смонтированы: (отопление-двухконтурный газовый котёл, центральное водоснабжение).
Один взрослый собственник более 5 лет.
Звоните, всё покажем и расскажем!














